売買
彦根市地蔵町 中古戸建 500万円
| 物件ID | 014127 |
|---|---|
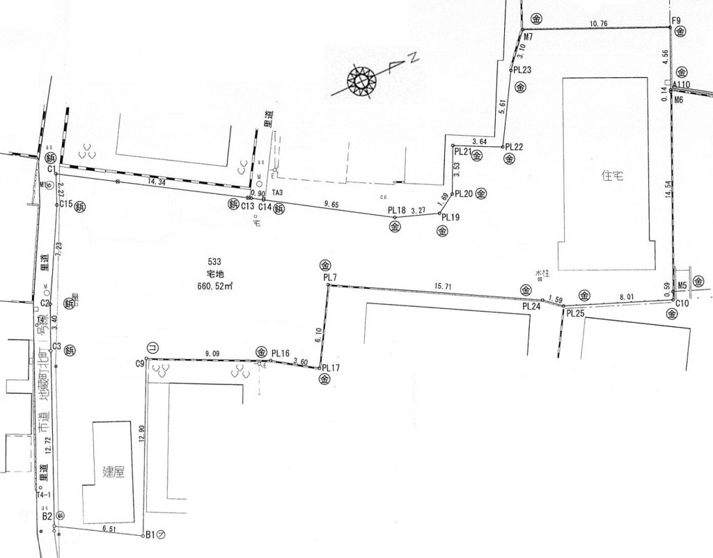
| 所在地 | 彦根市地蔵町 |
| 最寄り駅 | JR東海道線 彦根駅 |
| 所要時間 | 徒歩33分 |
| 価格 |
500万円 @2.50万/坪 |
| 間取り | 3DK |
| 築年月 | 1975年月 |
| 国土法 | 不要 |
| 駐車場 / 料金 | 空有 |
| 現況 | 空家 |
| 引渡 | 相談 |
| 接道状況 | 一方(接道方向:南西) |
| 地目 | 宅地 |
| 用途地域 | 第一種住居地域 |
| 建ぺい率 | 60% |
| 容積率 | 200% |
| 都市計画 | 市街化区域 |
| 土地権利 | 所有権 |
| 建築条件 | 無 |
| 取引態様 | 専任 |
| その他費用 | - |
| 設備・条件 | 水道:公営/ガス:プロパン/排水:下水/専用バス/ガス給湯/ウォシュレット/電気有り |
| 小学校区 | 旭森小学校 |
| 備考 | ※現状有姿取引(境界確定済、居宅の屋根に不具合有、プレハブ小屋有、残置物有) ※売主の負う契約不適合責任は免責とします ※建物は未登記です |
情報更新日時:2025年07月05日