彦根市の物件は丸三不動産にお任せください!様々な条件からぴったりの物件をお探しいただけます。

小学校区検索

旭森小学校

  • 96
  • 71
  • 25
 

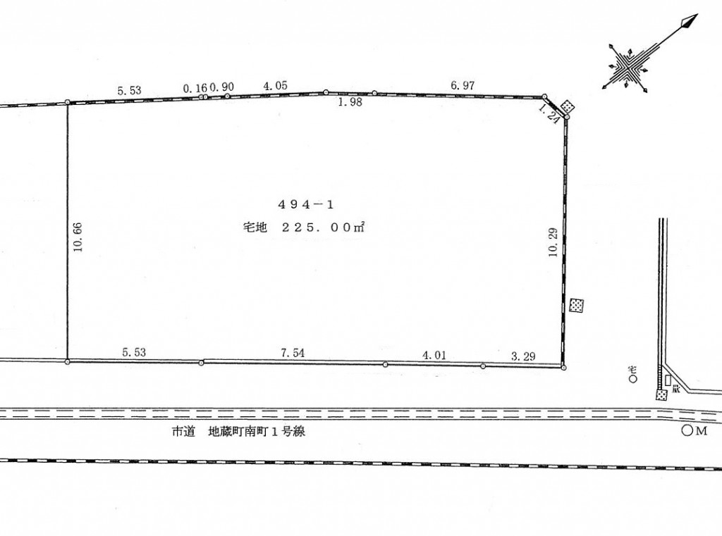
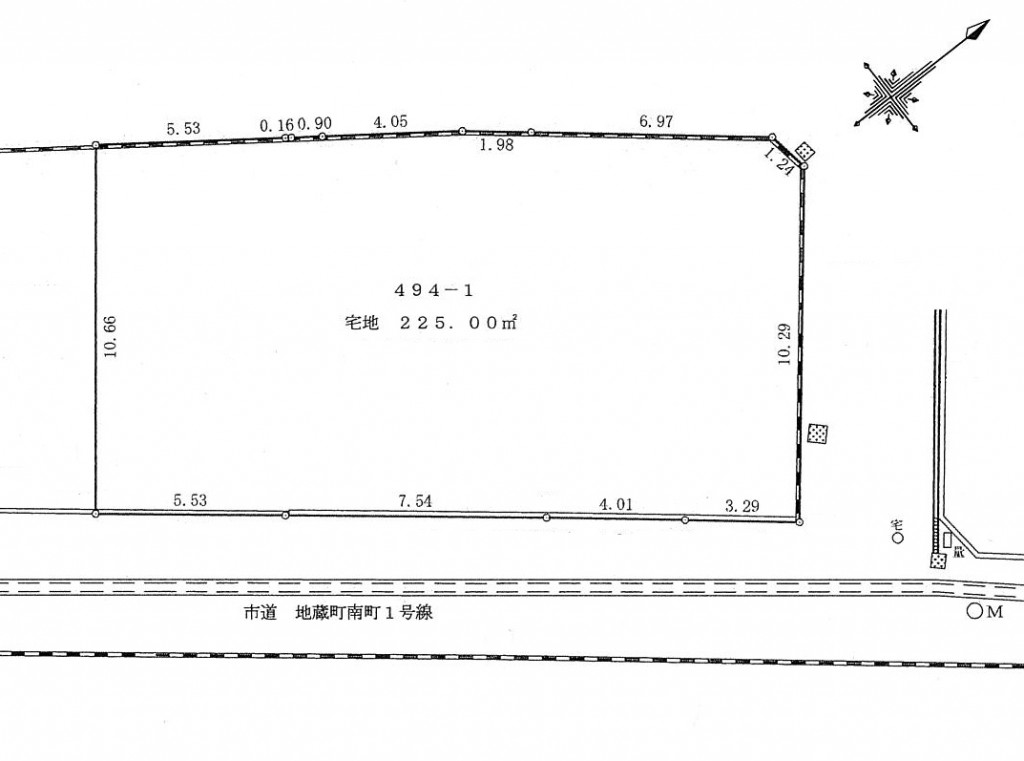
    • 1,285万円@18.88万/坪
    • 彦根市地蔵町
    • 近江鉄道近江本線 彦根口駅 徒歩16分

    • 225.00m²(68.06坪)

    • 南東

    日当たり良好!

     
     
    • お気に入りに追加
    • 物件詳細を見る
     

    • 800万円@5.56万/坪
    • 彦根市野田山町
    • JR東海道線 彦根駅 -m

    • 475.38m²(143.8坪)

    日当たり良好!

     
     
    • お気に入りに追加
    • 物件詳細を見る
     

    • 850万円@4.54万/坪
    • 彦根市正法寺町
    • JR東海道線 彦根駅 バス15分徒歩4分

    • 619.00m²(187.24坪)

    • 西,南

     
     
    • お気に入りに追加
    • 物件詳細を見る
     

    • 930万円@17.19万/坪
    • 彦根市正法寺町
    • JR東海道線 彦根駅 徒歩32分

    • 178.87m²(54.1坪)

    • 北東

     
     
    • お気に入りに追加
    • 物件詳細を見る
     

    • 1,150万円@14.80万/坪
    • 彦根市正法寺町
    • 近江鉄道近江本線 彦根口駅 徒歩21分

    • 256.89m²(77.7坪)

    • 北東

     
     
    • お気に入りに追加
    • 物件詳細を見る
     

    • 1,350万円@13.08万/坪
    • 彦根市地蔵町
    • 近江鉄道近江本線 彦根口駅 徒歩18分

    • 341.31m²(103.24坪)

    • 北東

     
     
    • お気に入りに追加
    • 物件詳細を見る
     

    • 1,970万円@16.29万/坪
    • 彦根市原町
    • JR東海道線 彦根駅 徒歩25分

    • 399.88m²(120.96坪)

    • 北東,南西

     
     
    • お気に入りに追加
    • 物件詳細を見る
     

    • 1,158.0063万円@22.80万/坪
    • 彦根市大堀町
    • JR東海道線 南彦根駅 1600m

    • 167.90m²(50.78坪)

    • 南西

     
     
    • お気に入りに追加
    • 物件詳細を見る
     

    • 1,239.6819万円@23.80万/坪
    • 彦根市大堀町
    • JR東海道線 南彦根駅 1600m

    • 172.19m²(52.08坪)

    • 北東,南西,西

     
     
    • お気に入りに追加
    • 物件詳細を見る
     

    • 890万円@11.22万/坪
    • 彦根市野田山町
    • 近江鉄道近江本線 彦根口駅 徒歩28分

    • 262.27m²(79.33坪)

    • 北西

     
     
    • お気に入りに追加
    • 物件詳細を見る
     

    • 1,009.5596万円@21.10万/坪
    • 彦根市大堀町
    • JR東海道線 南彦根駅 徒歩31分

    • 158.17m²(47.84坪)

    • 北東

     
     
    • お気に入りに追加
    • 物件詳細を見る
     

    • 1,041.1203万円@21.50万/坪
    • 彦根市大堀町
    • JR東海道線 南彦根駅 徒歩31分

    • 160.08m²(48.42坪)

    • 南西

     
     
    • お気に入りに追加
    • 物件詳細を見る
     

    • 1,076.2769万円@22.80万/坪
    • 彦根市大堀町
    • JR東海道線 南彦根駅 徒歩31分

    • 156.05m²(47.2坪)

    • 南西

     
     
    • お気に入りに追加
    • 物件詳細を見る
     

    • 1,138.097万円@20.80万/坪
    • 彦根市大堀町
    • JR東海道線 南彦根駅 徒歩31分

    • 180.88m²(54.71坪)

    • 北東

     
     
    • お気に入りに追加
    • 物件詳細を見る
     

    • 1,148.0014万円@21.10万/坪
    • 彦根市大堀町
    • JR東海道線 南彦根駅 徒歩31分

    • 179.86m²(54.4坪)

    • 北東

     
     
    • お気に入りに追加
    • 物件詳細を見る
     

    • 1,166.1874万円@21.50万/坪
    • 彦根市大堀町
    • JR東海道線 南彦根駅 徒歩31分

    • 179.31m²(54.24坪)

    • 北西,北東,南西

     
     
    • お気に入りに追加
    • 物件詳細を見る
     

    • 1,222.7691万円@22.80万/坪
    • 彦根市大堀町
    • JR東海道線 南彦根駅 徒歩31分

    • 177.29m²(53.63坪)

    • 南東

     
     
    • お気に入りに追加
    • 物件詳細を見る
     

    • 1,295.3256万円@22.80万/坪
    • 彦根市大堀町
    • JR東海道線 南彦根駅 徒歩31分

    • 187.81m²(56.81坪)

    • 南西

     
     
    • お気に入りに追加
    • 物件詳細を見る
     

    • 1,295.4635万円@22.80万/坪
    • 彦根市大堀町
    • JR東海道線 南彦根駅 徒歩31分

    • 187.83m²(56.81坪)

    • 南西

     
     
    • お気に入りに追加
    • 物件詳細を見る
     

    • 1,306.6881万円@23.00万/坪
    • 彦根市大堀町
    • JR東海道線 南彦根駅 徒歩31分

    • 187.81m²(56.81坪)

    • 南西

     
     
    • お気に入りに追加
    • 物件詳細を見る
     

    • 1,363.4649万円@19.30万/坪
    • 彦根市大堀町
    • JR東海道線 南彦根駅 徒歩31分

    • 233.54m²(70.64坪)

    • 南西

     
     
    • お気に入りに追加
    • 物件詳細を見る
     

    • 1,383.6108万円@19.50万/坪
    • 彦根市大堀町
    • JR東海道線 南彦根駅 徒歩31分

    • 234.56m²(70.95坪)

    • 南西

     
     
    • お気に入りに追加
    • 物件詳細を見る
     

    • 1,002.3746万円@19.50万/坪
    • 彦根市大堀町
    • JR東海道線 南彦根駅 徒歩27分

    • 169.93m²(51.4坪)

    • 北東

     
     
    • お気に入りに追加
    • 物件詳細を見る
     

    • 1,151.8141万円@21.50万/坪
    • 彦根市大堀町
    • JR東海道線 南彦根駅 徒歩27分

    • 177.10m²(53.57坪)

    • 南西

     
     
    • お気に入りに追加
    • 物件詳細を見る
     

    • 1,152.2044万円@21.50万/坪
    • 彦根市大堀町
    • JR東海道線 南彦根駅 徒歩27分

    • 177.16m²(53.59坪)

    • 南西

     
     
    • お気に入りに追加
    • 物件詳細を見る
     

    • 1,153.251万円@21.60万/坪
    • 彦根市大堀町
    • JR東海道線 南彦根駅 徒歩27分

    • 176.50m²(53.39坪)

    • 南西,南東

     
     
    • お気に入りに追加
    • 物件詳細を見る
     

    • 1,065.6万円@22.50万/坪
    • 彦根市地蔵町
    • 近江鉄道近江本線 彦根口駅 徒歩12分

    • 156.58m²(47.36坪)

    • 南東,北西

    ル・ベールコート・ジゾウ2

     
     
    • お気に入りに追加
    • 物件詳細を見る
     

    • 1,104万円@22.50万/坪
    • 彦根市地蔵町
    • 近江鉄道近江本線 彦根口駅 徒歩12分

    • 162.23m²(49.07坪)

    • 北西

    ル・ベールコート・ジゾウ2

     
     
    • お気に入りに追加
    • 物件詳細を見る
     

    • 1,104.7万円@22.50万/坪
    • 彦根市地蔵町
    • 近江鉄道近江本線 彦根口駅 徒歩12分

    • 162.32m²(49.1坪)

    • 北西

    ル・ベールコート・ジゾウ2

     
     
    • お気に入りに追加
    • 物件詳細を見る
     

    • 1,104.9万円@22.50万/坪
    • 彦根市地蔵町
    • 近江鉄道近江本線 彦根口駅 徒歩12分

    • 162.37m²(49.11坪)

    • 北西

    ル・ベールコート・ジゾウ2

     
     
    • お気に入りに追加
    • 物件詳細を見る
     

    • 695万円@13.53万/坪
    • 彦根市野田山町
    • JR東海道線 彦根駅 バス8分徒歩4分

    • 169.79m²(51.36坪)

    • 西

     
     
    • お気に入りに追加
    • 物件詳細を見る
     

    • 830万円@13.49万/坪
    • 彦根市野田山町
    • JR東海道線 彦根駅 バス8分徒歩4分

    • 203.43m²(61.53坪)

    • 西

     
     
    • お気に入りに追加
    • 物件詳細を見る
     

    • 820万円@17.95万/坪
    • 彦根市正法寺町
    • 近江鉄道近江本線 彦根口駅 徒歩24分

    • 151.06m²(45.69坪)

     
     
    • お気に入りに追加
    • 物件詳細を見る
     

    • 820万円@17.85万/坪
    • 彦根市正法寺町
    • 近江鉄道近江本線 彦根口駅 徒歩24分

    • 151.92m²(45.95坪)

     
     
    • お気に入りに追加
    • 物件詳細を見る
     

    • 1,048.3395万円@21.50万/坪
    • 彦根市東沼波町
    • JR東海道線 南彦根駅 1200m

    • 161.19m²(48.75坪)

    • 北東

     
     
    • お気に入りに追加
    • 物件詳細を見る
     

    • 1,059.7982万円@21.70万/坪
    • 彦根市東沼波町
    • JR東海道線 南彦根駅 1200m

    • 161.45m²(48.83坪)

    • 北東

     
     
    • お気に入りに追加
    • 物件詳細を見る
     

    • 1,185.3384万円@22.70万/坪
    • 彦根市東沼波町
    • JR東海道線 南彦根駅 1200m

    • 172.62m²(52.21坪)

    • 北東

     
     
    • お気に入りに追加
    • 物件詳細を見る
     

    • 1,196.4746万円@22.90万/坪
    • 彦根市東沼波町
    • JR東海道線 南彦根駅 1200m

    • 172.72m²(52.24坪)

    • 北東

     
     
    • お気に入りに追加
    • 物件詳細を見る
     

    • 1,196.4746万円@22.90万/坪
    • 彦根市東沼波町
    • JR東海道線 南彦根駅 1200m

    • 172.72m²(52.24坪)

    • 北東

     
     
    • お気に入りに追加
    • 物件詳細を見る
     

    • 1,208.1021万円@24.20万/坪
    • 彦根市東沼波町
    • JR東海道線 南彦根駅 徒歩16分

    • 165.03m²(49.92坪)

    • 北西,南西

     
     
    • お気に入りに追加
    • 物件詳細を見る
     

    • 1,215.9641万円@22.70万/坪
    • 彦根市東沼波町
    • JR東海道線 南彦根駅 1200m

    • 177.08m²(53.56坪)

    • 北東

     
     
    • お気に入りに追加
    • 物件詳細を見る
     

    • 1,226.054万円@22.90万/坪
    • 彦根市東沼波町
    • JR東海道線 南彦根駅 1200m

    • 176.99m²(53.53坪)

    • 北東

     
     
    • お気に入りに追加
    • 物件詳細を見る
     

    • 1,226.6082万円@22.90万/坪
    • 彦根市東沼波町
    • JR東海道線 南彦根駅 1200m

    • 177.07m²(53.56坪)

    • 北東

     
     
    • お気に入りに追加
    • 物件詳細を見る
     

    • 1,236.3296万円@24.80万/坪
    • 彦根市東沼波町
    • JR東海道線 南彦根駅 1200m

    • 164.80m²(49.85坪)

    • 北東,南東

     
     
    • お気に入りに追加
    • 物件詳細を見る
     

    • 1,239.6099万円@23.80万/坪
    • 彦根市東沼波町
    • JR東海道線 南彦根駅 1200m

    • 172.18m²(52.08坪)

    • 北東,北西

     
     
    • お気に入りに追加
    • 物件詳細を見る
     

    • 1,277.4273万円@24.20万/坪
    • 彦根市東沼波町
    • JR東海道線 南彦根駅 徒歩16分

    • 174.50m²(52.78坪)

    • 南東

     
     
    • お気に入りに追加
    • 物件詳細を見る
     

    • 1,279.2011万円@24.40万/坪
    • 彦根市東沼波町
    • JR東海道線 南彦根駅 1200m

    • 173.31m²(52.42坪)

    • 南西

     
     
    • お気に入りに追加
    • 物件詳細を見る
     

    • 1,280.6773万円@24.40万/坪
    • 彦根市東沼波町
    • JR東海道線 南彦根駅 1200m

    • 173.51m²(52.48坪)

    • 南西

     
     
    • お気に入りに追加
    • 物件詳細を見る
     

    • 1,281.0152万円@24.30万/坪
    • 彦根市東沼波町
    • JR東海道線 南彦根駅 徒歩16分

    • 174.27m²(52.71坪)

    • 南西

     
     
    • お気に入りに追加
    • 物件詳細を見る
     

    • 1,281.3416万円@24.40万/坪
    • 彦根市東沼波町
    • JR東海道線 南彦根駅 1200m

    • 173.60m²(52.51坪)

    • 南西

     
     
    • お気に入りに追加
    • 物件詳細を見る
     

    • 1,281.6368万円@24.40万/坪
    • 彦根市東沼波町
    • JR東海道線 南彦根駅 1200m

    • 173.64m²(52.52坪)

    • 南西

     
     
    • お気に入りに追加
    • 物件詳細を見る
     

    • 1,282.0797万円@24.40万/坪
    • 彦根市東沼波町
    • JR東海道線 南彦根駅 徒歩16分

    • 173.70m²(52.54坪)

    • 南西

     
     
    • お気に入りに追加
    • 物件詳細を見る
     

    • 1,282.7059万円@24.30万/坪
    • 彦根市東沼波町
    • JR東海道線 南彦根駅 徒歩16分

    • 174.50m²(52.78坪)

    • 南東

     
     
    • お気に入りに追加
    • 物件詳細を見る
     

    • 1,282.8402万円@24.60万/坪
    • 彦根市東沼波町
    • JR東海道線 南彦根駅 1200m

    • 172.39m²(52.14坪)

    • 南西

     
     
    • お気に入りに追加
    • 物件詳細を見る
     

    • 1,283.0734万円@24.30万/坪
    • 彦根市東沼波町
    • JR東海道線 南彦根駅 徒歩16分

    • 174.55m²(52.8坪)

    • 南東

     
     
    • お気に入りに追加
    • 物件詳細を見る
     

    • 1,291.1747万円@24.60万/坪
    • 彦根市東沼波町
    • JR東海道線 南彦根駅 1200m

    • 173.51m²(52.48坪)

    • 南西

     
     
    • お気に入りに追加
    • 物件詳細を見る
     

    • 1,291.4723万円@24.60万/坪
    • 彦根市東沼波町
    • JR東海道線 南彦根駅 1200m

    • 173.55m²(52.49坪)

    • 南西

     
     
    • お気に入りに追加
    • 物件詳細を見る
     

    • 1,291.6944万円@24.80万/坪
    • 彦根市東沼波町
    • JR東海道線 南彦根駅 1200m

    • 172.18m²(52.08坪)

    • 北西,南西

     
     
    • お気に入りに追加
    • 物件詳細を見る
     

    • 1,293.1149万円@24.50万/坪
    • 彦根市東沼波町
    • JR東海道線 南彦根駅 徒歩16分

    • 174.48m²(52.78坪)

    • 南東

     
     
    • お気に入りに追加
    • 物件詳細を見る
     

    • 1,293.3372万円@24.50万/坪
    • 彦根市東沼波町
    • JR東海道線 南彦根駅 徒歩16分

    • 174.51m²(52.78坪)

    • 南東

     
     
    • お気に入りに追加
    • 物件詳細を見る
     

    • 1,299.1213万円@24.80万/坪
    • 彦根市東沼波町
    • JR東海道線 南彦根駅 1200m

    • 173.17m²(52.38坪)

    • 北西,南西

     
     
    • お気に入りに追加
    • 物件詳細を見る
     

    • 1,302.7743万円@24.70万/坪
    • 彦根市東沼波町
    • JR東海道線 南彦根駅 1200m

    • 174.36m²(52.74坪)

    • 北西,南西

     
     
    • お気に入りに追加
    • 物件詳細を見る
     

    • 1,310.237万円@23.80万/坪
    • 彦根市東沼波町
    • JR東海道線 南彦根駅 1200m

    • 181.99m²(55.05坪)

    • 北東,北西

     
     
    • お気に入りに追加
    • 物件詳細を見る
     

    • 1,322.0569万円@24.60万/坪
    • 彦根市東沼波町
    • JR東海道線 南彦根駅 1200m

    • 177.66m²(53.74坪)

    • 南西

     
     
    • お気に入りに追加
    • 物件詳細を見る
     

    • 1,324.1405万円@24.60万/坪
    • 彦根市東沼波町
    • JR東海道線 南彦根駅 1200m

    • 177.94m²(53.82坪)

    • 南西

     
     
    • お気に入りに追加
    • 物件詳細を見る
     

    • 1,459.4415万円@22.00万/坪
    • 彦根市東沼波町
    • JR東海道線 南彦根駅 徒歩16分

    • 219.30m²(66.33坪)

    • 北東

     
     
    • お気に入りに追加
    • 物件詳細を見る
     

    • 1,262万円@24.59万/坪
    • 彦根市東沼波町
    • JR東海道線 南彦根駅 徒歩17分

    • 169.70m²(51.33坪)

    • 南西

     
     
    • お気に入りに追加
    • 物件詳細を見る
     

    • 1,263万円@24.60万/坪
    • 彦根市東沼波町
    • JR東海道線 南彦根駅 徒歩17分

    • 169.76m²(51.35坪)

    • 南西

     
     
    • お気に入りに追加
    • 物件詳細を見る
     

    • 1,276万円@24.60万/坪
    • 彦根市東沼波町
    • JR東海道線 南彦根駅 徒歩17分

    • 171.51m²(51.88坪)

    • 南東

     
     
    • お気に入りに追加
    • 物件詳細を見る
     

    • 1,322万円@24.50万/坪
    • 彦根市東沼波町
    • JR東海道線 南彦根駅 徒歩17分

    • 178.41m²(53.96坪)

    • 南東,北東

     
     
    • お気に入りに追加
    • 物件詳細を見る
     

    • 1,342万円@24.40万/坪
    • 彦根市東沼波町
    • JR東海道線 南彦根駅 徒歩17分

    • 181.83m²(55坪)

    • 南東

     
     
    • お気に入りに追加
    • 物件詳細を見る
     

    • - 万円
    • 彦根市東沼波町
    • 111.29m²(33.66坪)

    • 北西

     
     
    • お気に入りに追加
    • 物件詳細を見る
    こちらは未公開物件となります。詳しくはお問い合わせまで▼
     

    • - 万円
    • 彦根市大堀町
    • 181.81m²(54.99坪)

    • 南東

     
     
    • お気に入りに追加
    • 物件詳細を見る
    こちらは未公開物件となります。詳しくはお問い合わせまで▼
     

    • - 万円
    • 彦根市野田山町
    • 232.00m²(70.17坪)

     
     
    • お気に入りに追加
    • 物件詳細を見る
    こちらは未公開物件となります。詳しくはお問い合わせまで▼
     

    • - 万円
    • 彦根市正法寺町
    • 383.28m²(115.94坪)

     
     
    • お気に入りに追加
    • 物件詳細を見る
    こちらは未公開物件となります。詳しくはお問い合わせまで▼
     

    • - 万円
    • 彦根市東沼波町
    • 291.24m²(88.1坪)

     
     
    • お気に入りに追加
    • 物件詳細を見る
    こちらは未公開物件となります。詳しくはお問い合わせまで▼
     

    • - 万円
    • 彦根市野田山町
    • 657.00m²(198.74坪)

    • 東,北

     
     
    • お気に入りに追加
    • 物件詳細を見る
    こちらは未公開物件となります。詳しくはお問い合わせまで▼
     

    • - 万円
    • 彦根市野田山町
    • 466.03m²(140.97坪)

    • 北東

     
     
    • お気に入りに追加
    • 物件詳細を見る
    こちらは未公開物件となります。詳しくはお問い合わせまで▼
     

    • - 万円
    • 彦根市大堀町
    • 261.14m²(78.99坪)

    • 南東

     
     
    • お気に入りに追加
    • 物件詳細を見る
    こちらは未公開物件となります。詳しくはお問い合わせまで▼
     

    • - 万円
    • 彦根市西沼波町
    • 477.13m²(144.33坪)

    • 東,南

     
     
    • お気に入りに追加
    • 物件詳細を見る
    こちらは未公開物件となります。詳しくはお問い合わせまで▼
     

    • - 万円
    • 彦根市東沼波町
    • 337.19m²(101.99坪)

    • 南東

     
     
    • お気に入りに追加
    • 物件詳細を見る
    こちらは未公開物件となります。詳しくはお問い合わせまで▼
     

    • - 万円
    • 彦根市野田山町
    • 165.69m²(50.12坪)

    • 北東

     
     
    • お気に入りに追加
    • 物件詳細を見る
    こちらは未公開物件となります。詳しくはお問い合わせまで▼
     

    • - 万円
    • 彦根市正法寺町
    • 153.95m²(46.56坪)

    • 南東

     
     
    • お気に入りに追加
    • 物件詳細を見る
    こちらは未公開物件となります。詳しくはお問い合わせまで▼
     

    • - 万円
    • 彦根市正法寺町
    • 157.30m²(47.58坪)

    • 北東,南東

     
     
    • お気に入りに追加
    • 物件詳細を見る
    こちらは未公開物件となります。詳しくはお問い合わせまで▼
     

    • - 万円
    • 彦根市正法寺町
    • 207.18m²(62.67坪)

    • 北東

     
     
    • お気に入りに追加
    • 物件詳細を見る
    こちらは未公開物件となります。詳しくはお問い合わせまで▼
     

    • - 万円
    • 彦根市正法寺町
    • 192.77m²(58.31坪)

    • 北東

     
     
    • お気に入りに追加
    • 物件詳細を見る
    こちらは未公開物件となります。詳しくはお問い合わせまで▼
     

    • - 万円
    • 彦根市正法寺町
    • 198.94m²(60.17坪)

    • 北東

     
     
    • お気に入りに追加
    • 物件詳細を見る
    こちらは未公開物件となります。詳しくはお問い合わせまで▼
     

    • - 万円
    • 彦根市正法寺町
    • 162.88m²(49.27坪)

    • 南西,北東

     
     
    • お気に入りに追加
    • 物件詳細を見る
    こちらは未公開物件となります。詳しくはお問い合わせまで▼
     

    • - 万円
    • 彦根市正法寺町
    • 162.89m²(49.27坪)

    • 南西,北東

     
     
    • お気に入りに追加
    • 物件詳細を見る
    こちらは未公開物件となります。詳しくはお問い合わせまで▼
     

    • - 万円
    • 彦根市正法寺町
    • 162.91m²(49.28坪)

    • 南西,北東

     
     
    • お気に入りに追加
    • 物件詳細を見る
    こちらは未公開物件となります。詳しくはお問い合わせまで▼
     

    • - 万円
    • 彦根市正法寺町
    • 182.02m²(55.06坪)

    • 南西,北東,南東

     
     
    • お気に入りに追加
    • 物件詳細を見る
    こちらは未公開物件となります。詳しくはお問い合わせまで▼
     

    • - 万円
    • 彦根市大堀町
    • 187.16m²(56.61坪)

    • 北東

     
     
    • お気に入りに追加
    • 物件詳細を見る
    こちらは未公開物件となります。詳しくはお問い合わせまで▼
     

    • - 万円
    • 彦根市大堀町
    • 165.30m²(50坪)

    • 南西

     
     
    • お気に入りに追加
    • 物件詳細を見る
    こちらは未公開物件となります。詳しくはお問い合わせまで▼
     

    • - 万円
    • 彦根市大堀町
    • 206.15m²(62.36坪)

    • 南西

     
     
    • お気に入りに追加
    • 物件詳細を見る
    こちらは未公開物件となります。詳しくはお問い合わせまで▼
     

    • - 万円
    • 彦根市大堀町
    • 207.38m²(62.73坪)

    • 南西

     
     
    • お気に入りに追加
    • 物件詳細を見る
    こちらは未公開物件となります。詳しくはお問い合わせまで▼
     

    • - 万円
    • 彦根市大堀町
    • 208.51m²(63.07坪)

    • 南西

     
     
    • お気に入りに追加
    • 物件詳細を見る
    こちらは未公開物件となります。詳しくはお問い合わせまで▼