売買
フリーガーデン西葛籠 売地 1,390万円
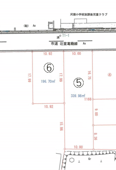
物件ID | 012495 |
---|---|
所在地 | 彦根市西葛籠町 |
最寄り駅 | JR東海道線 河瀬駅 |
所要時間 | 徒歩24分 |
価格 |
1,390万円 @13.52万/坪 |
地積(m²) | 339.98m²(102.84坪) |
現況 | 更地 |
引渡 | 相談 |
接道状況 | 一方(接道方向:北西) |
地目 | 宅地 |
用途地域 | 準工業地域 |
建ぺい率 | 60% |
容積率 | 200% |
都市計画 | 市街化区域 |
土地権利 | 所有権 |
建築条件 | 無 |
取引態様 | 仲介 |
その他費用 | - |
設備・条件 | 水道:公営/ガス:都市ガス/排水:下水/小学校近 |
小学校区 | 河瀬小学校 |
備考 | - |
情報更新日時:2025年10月22日