売買
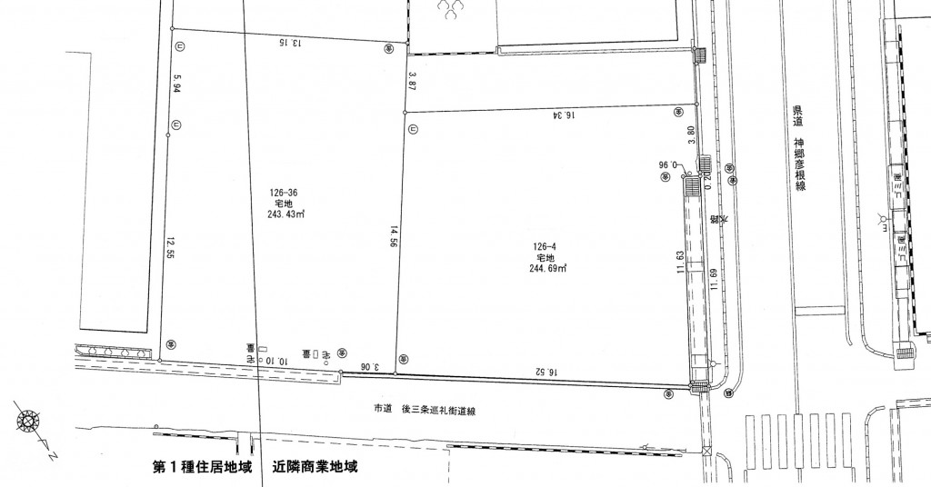
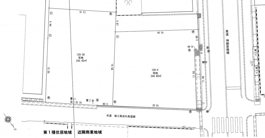
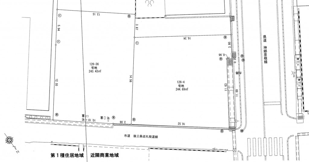
彦根市後三条町 売地 1,380万円
| 物件ID | 014289 |
|---|---|
| 所在地 | 彦根市後三条町 |
| 最寄り駅 | JR東海道線 彦根駅 |
| 所要時間 | 徒歩22分 |
| 価格 |
1,380万円 @18.74万/坪 |
| 地積(m²) | 243.43m²(73.63坪) |
| 現況 | 更地 |
| 引渡 | 即時 |
| 接道状況 | 一方(接道方向:北東) |
| 地目 | 宅地 |
| 用途地域 | 近隣商業地域 |
| 建ぺい率 | 80% |
| 容積率 | 200% |
| 都市計画 | 市街化区域 |
| 土地権利 | 所有権 |
| 建築条件 | 無 |
| 取引態様 | 専任 |
| その他費用 | - |
| 設備・条件 | 水道:公営/ガス:プロパン/排水:下水 |
| 小学校区 | 城東小学校 |
| 備考 | 住宅に最適! ※県道の道路中心線から30mまでが近隣商業地域(建ぺい率80%)、それ以降は、第1種住居地域(建ぺい率60%)となります ※構造物を設置する場合、市道の中心線から2mのセットバックが必要です |
情報更新日時:2025年12月02日